Cart-icon

Lisztbogár, lisztkukac

lISZTBOGÁR, lISZTKUKAC Ez egy Figyelmeztetés MÉRET: 2- 5 mm SZÍN: Barna/fekete LÁB: 3 pár Az élelmiszer-károsító, és látogató rovaroknak igen széles a spektruma. A leggyakoribb mind közül talán a lisztbogár mondható, melynek kukacos lárvája nem túl kellemes látványt nyújt egy konyhába. A lisztbogár fajtól függően 5-20 mm-es hosszúkásabb testfelépítésű gesztenyebarna, szurokfekete színű rovar. Fénylő háta […]

Tovább

Közönséges fülbemászó

KÖZÖNSÉGES FÜLBEMÁSZÓ Ez egy Figyelmeztetés MÉRET: 10- 15 mm SZÍN: Barna/fekete LÁB: 3 pár A fülbemászó a nevét egy korábbi népi babona útján kapta, miszerint ez a rovar bemászik az ember fülébe, átrágja a dobhártyát, és a petéit az emberi agyba rakja le. Erről voltaképpen szó sincs. A közönséges fülbemászó voltaképpen teljesen ártalmatlan. De mit […]

Tovább

Kenyérbogár

KENYÉRBOGÁR Ez egy Figyelmeztetés MÉRET: 2- 11 mm SZÍN: Rozsdavörös/fekete LÁB: 3 pár Méretre 2-11 mm hosszúkásúak, rozsdavörös, fekete színűek. Kitinpáncéljuk alatt található szárnyuk segítségével tudnak repülni. A melegebb hőmérsékletet kedvelik. Fejlődésük 25 fok alatt több 100 nap lehet, így a kenyérbogár csak magasabb hőmérséklet esetén tud elszaporodni. Folyamatosan szaporodik, tehát nem köthető évszakhoz a […]

Tovább

Futrinka

GABONA FUTRINKA Ez egy Figyelmeztetés MÉRET: 8- 15 mm SZÍN: Barna/fekete LÁB: 3 pár A felnőtt példány 15 mm hosszú, hátán fakó fekete, hasi oldalon barna. Feje viszonylag nagy, kitüremkedő torával „púpos” megjelenésű. Fedelesszárnyúakra jellemző bőrszerű fedőszárnyai vannak, a rovar lábainak negyedik ízülete és végső része vöröses barna. A GABONA FUTRINKA KÉRDÉS & VÁLASZ A […]

Tovább

ezüstös pikkelyke

Ezüstös pikkelyke

Ezüstös pikkelyke – az ősrovar „Szinte minden fürdőszobában találkozhatunk vele!” Ezüstös pikkelyke: Jellemzően 5-10 mm hosszúságúak. Nevét testét borító szürke, fénylő pikkelyeiről kapta. Szokták még ezüstös ősrovarnak is nevezni. Testalkata vízcsepp formájú. Villás „farokkal”, elől pedig kisebb-nagyobb csápokkal rendelkezik. Teljesen szárnytalan rovar. Az ezüstös pikkelyke 2-5 évig él. Rejtőzködő életmódot folytat. Csak szürkületben éjjel jön […]

Tovább

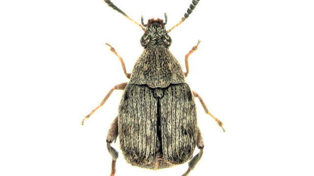
Babzsizsik

Babzsizsik

babzsizsik Ez egy Figyelmeztetés MÉRET: 2- 5 mm SZÍN: Barna/fekete LÁB: 3 pár Ez egy gyakori élelmiszer kártevő, ami a babban, és egyéb hüvelyes magvakban szokott megtelepedni. Ott lehet a borsóban, lencsében, de még a szójában is. A babzsizsik külsőre 2-5 mm hosszú, tömzsi testű, „antennás” rovar. A fertőzött élelmiszerek felkutatásával, a tiszták műanyag tárolóban […]

Tovább